


Nilai Limit
Cool Number
Rp.
0
E-Flayer
MINAT
Share
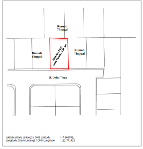
Rumah Tinggal, dengan LT/LB : 220 m2 / 132 m2 sesuai dengan SHM No. 1031 yang terletak di Perum. Delta Sari Baru Cluster Delta Tiara No. 16, Desa Ngigas, Kecamatan Waru, Kabupaten Sidoarjo, Provinsi Jawa Timur.
DESKRIPSI PELAKSANAAN LELANG
| Jadwal Lelang | On Progress |
| Waktu Lelang | On Progress |
| Cara Penawaran | Open bidding |
| Setoran Jaminan Lelang | Rp. 303.820.000,- |
| Batas Akhir Penawaran | On Progress |
| Tempat Lelang |
KPKNL Sidoarjo |
Informasi
Pengumuman Lelang
Penjual/Penyelenggara
Disclaimer
Informasi
|
SHM. No. 1031 Luas Total: 220 M2 |
Bentuk Tanah
|
Pengumuman Lelang
Pengumuman Lelang Pertama Klik disini
Penjual/Penyelenggara
Penjual :
PT Bank KB Bukopin, Tbk.
Penyelenggara :
KPKNL Sidoarjo
Pra Lelang :
PT Balai Lelang Harmoni
Jl. Gading Batavia Blok LC 11/2
Kelapa Gading-Jakarta Utara
HP. 0812506080
Disclaimer
DISCLAIMER :
- Data dan informasi dapat berubah sewaktu-waktu.
- Barang dijual secara apa adanya (as is) sesuai kondisi pada saat pelaksanaan lelang. Kami tidak memberikan
jaminan atau garansi terhadap keakuratan, kehandalan dan/atau kelengkapan informasi yang berkaitan dengan
properti. - Peserta lelang dianggap dengan sungguh-sungguh sudah mengetahui segala bentuk kekurangan/kerusakan,
bertanggung atas segala risiko yang mungkin timbul di kemudian hari baik dari aspek fisik maupun juridis/legal,
termasuk bersedia memenuhi segala bentuk tunggakan/biaya-biaya yang harus dibayar sesuai ketentuan yang
berlaku, apabila ditunjuk sebagai pembeli/pemenang lelang. - Karena satu dan lain hal, lelang dapat dibatalkan sesuai dengan ketentuan dan peserta lelang tidak berhak
menuntut ganti rugi atau tuntutan dalam bentuk apapun kepada Penjual ataupun Penyelenggara maupun
kepada PT. Balai Lelang Harmoni. - Lokasi yang ditunjukan dalam google map atau peta hanya merupakan alat bantu perkiraan lokasi agunan.
- Harga limit lelang yang tercantum hanya berlaku pada tanggal pelaksanaan lelang tersebut di atas.
- Apabila terdapat perbedaan informasi yang terdapat dalam website dengan pengumuman lelang di media
massa, maka yang digunakan adalah pengumuman lelang dalam media massa yang berlaku untuk pelaksanaan
lelang tersebut. - Beberapa informasi diperoleh berdasarkan data yang diterima oleh kami dan kami tidak bertanggung jawab
terhadap keabsahan, keaslian dan kebeneran data dan informasi tersebut apabila terdapat perbedaan antara
data dan informasi yang tersedia dibandingkan dengan keadaan yang sebenarnya. Dengan demikian, tidak ada
jaminan, pernyataan, atau usaha, baik tersurat maupun tersirat, terhadap informasi yang disampaikan sehingga
wajib dipertanggungjawabkan oleh kami untuk keakuratan setiap bagian, atau informasi lebih lanjut yang
diberikan oleh dan / atau atas nama kami, baik secara lisan atau tertulis



Leave a Reply